Inspekcja Termowizyjna Dronem – Straty Ciepła pod Kontrolą
W erze rosnących kosztów energii i wyzwań związanych z efektywnością energetyczną, dokładne monitorowanie systemów grzewczych i stanu technicznego budynków to konieczność. Czy wiesz, ile ciepła ucieka z Twojego systemu lub przez źle zaizolowany budynek?
Tradycyjne metody inspekcji są czasochłonne, drogie, a często wymagają dostępu linowego lub rusztowań. Inspekcja termowizyjna dronem to przełom. Dzięki zastosowaniu zaawansowanych kamer termicznych montowanych na bezzałogowych statkach powietrznych, jesteśmy w stanie precyzyjnie zlokalizować mostki termiczne, nieszczelności w instalacjach i inne awarie – wszystko w ułamku czasu i kosztów!
Inspekcja Termowizyjna Instalacji Grzewczych
Dronem – Czas i Precyzja
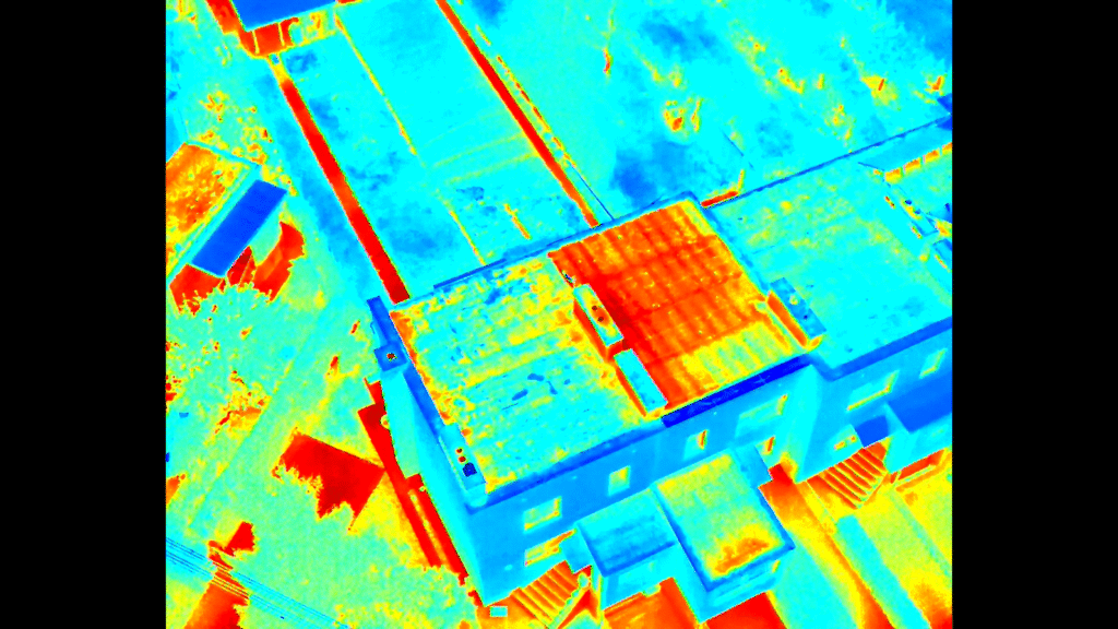
Inspekcja termowizyjna dronem wykorzystując kamery mierzące promieniowanie podczerwone, przekształca niewidzialne różnice temperatur w czytelne obrazy. Ta technologia jest nieoceniona w kontekście instalacji ciepłowniczych i grzewczych. Dron, dzięki swojej mobilności, może z łatwością dotrzeć do trudno dostępnych miejsc: dachów, kominów czy rozległych sieci ciepłowniczych na otwartym terenie.
Gdzie Dron Wykrywa Problemy w Sieciach Ciepłowniczych?
Naziemne i podziemne sieci rurociągów: Dron z kamerą termowizyjną to idealne narzędzie do szybkiego i efektywnego skanowania rozległych tras rurociągów ciepłowniczych. Potrafi zlokalizować wycieki, uszkodzenia izolacji termicznej oraz inne anomalie cieplne, które świadczą o awarii lub nieefektywności systemu. Nawet niewielkie uszkodzenia izolacji mogą prowadzić do znaczących strat ciepła i kosztownych rachunków.
Węzły cieplne i przepompownie: Inspekcja z powietrza pozwala na ocenę stanu izolacji i potencjalnych problemów w infrastrukturze towarzyszącej sieci, często znajdującej się na otwartej przestrzeni.
Przejścia przez tereny trudnodostępne: Drony doskonale sprawdzają się w monitorowaniu sieci ciepłowniczych przebiegających przez tereny podmokłe, zalesione lub przemysłowe, gdzie tradycyjny dostęp jest utrudniony.
Inspekcja Termowizyjna Budynków Dronem – Jak Odkrywamy Mostki Termiczne?
Największe straty energii w budynkach najczęściej wynikają z wad izolacji termicznej, zwanych mostkami termicznymi. Zanim zainwestujesz w kosztowną modernizację termiczną, musisz wiedzieć, gdzie dokładnie ucieka ciepło.
Inspekcja termowizyjna budynków dronem pozwala na błyskawiczne i kompleksowe skanowanie całych elewacji i dachów – nawet wieżowców – bez konieczności stawiania rusztowań czy używania podnośników. Uzyskane termogramy łączą się w mapę cieplną prezentującą ubytki ciepła.
Najważniejsze Zastosowania Inspekcji Termowizyjnej Budynków:
Audyt energetyczny: Precyzyjne określenie miejsc, które wymagają natychmiastowej naprawy lub docieplenia (np. okolice okien, łączenia płyt elewacyjnych).
Kontrola jakości prac termomodernizacyjnych: Weryfikacja, czy nowa izolacja została położona równomiernie i czy nie ma w niej ukrytych wad montażowych.
Lokalizacja ukrytych wad konstrukcyjnych: Wykrywanie zawilgoceń, wycieków z instalacji wodnych i wad w kominach, co jest kluczowe dla bezpieczeństwa.
Kiedy Wykonać Inspekcje Termowizyjną?
Moment przeprowadzenia inspekcji termowizyjnej jest kluczowy dla uzyskania najbardziej czytelnych i wiarygodnych danych. Najlepsze wyniki uzyskuje się, gdy różnica temperatur między wnętrzem (instalacji lub budynku) a otoczeniem jest duża. Właśnie dlatego zalecamy inspekcje termowizyjne w dwóch kluczowych okresach:
Przed sezonem grzewczym (jesień): Idealny czas na prewencję. Pozwala wykryć i naprawić drobne usterki (np. uszkodzoną izolację) zanim nadejdą mrozy i usterka stanie się poważną awarią.
W trakcie sezonu grzewczego (zima): Najlepszy czas na diagnozę. Duża różnica temperatur maksymalizuje kontrast na obrazie termowizyjnym, umożliwiając precyzyjne określenie skali strat ciepła i lokalizację najbardziej krytycznych punktów.
Podsumowanie
Inspekcja termowizyjna dronem to najbardziej efektywny sposób na zarządzanie energią, redukcję kosztów eksploatacji i unikanie kosztownych napraw. Nie czekaj, aż straty ciepła staną się widoczne na Twoich rachunkach!
Zabezpiecz swój budynek i instalację przed nadejściem zimy! Skontaktuj się z Dronity już dziś, aby omówić szczegóły i otrzymać bezpłatną wycenę kompleksowej inspekcji termowizyjnej dronem dla Twojego obiektu.

